Prodáno
182,- Kč cena za m2
1990 m2
Ostatní
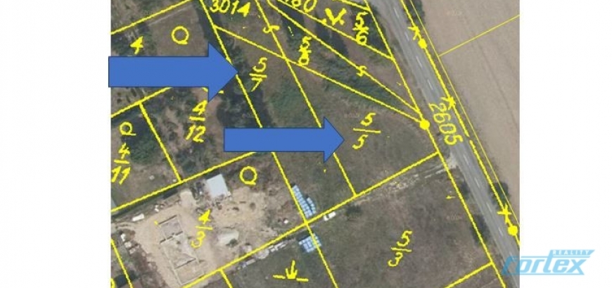
Vlastník nabízí rovinatý pozemek v obci Libina, v katastrálním území Horní Libina, v okrese Šumperk. Celková výměra pozemku činí 1.990m2. Pozemek je přístupný z hlavní komunikace. V dostupnosti elektřina, obecní vodovod, kanalizace a plyn. přípojka. V územním plánu je pozemek veden jako plocha občanské vybavenosti. Přípustné využití: správní a administrativní objekty, školy a školky, domy s pečovatelskou službou, sportovní a tělovýchovné stavby, stavby pro obchod a služby, hasičské zbrojnice.......Pozemek je velmi dobře dostupný do Mohelnice 24km a do Šumperku 15km. V obci veškerá občanská vybavenost. Cena je 182Kč vč. DPH. Cena uvedena vč. právních služeb.









